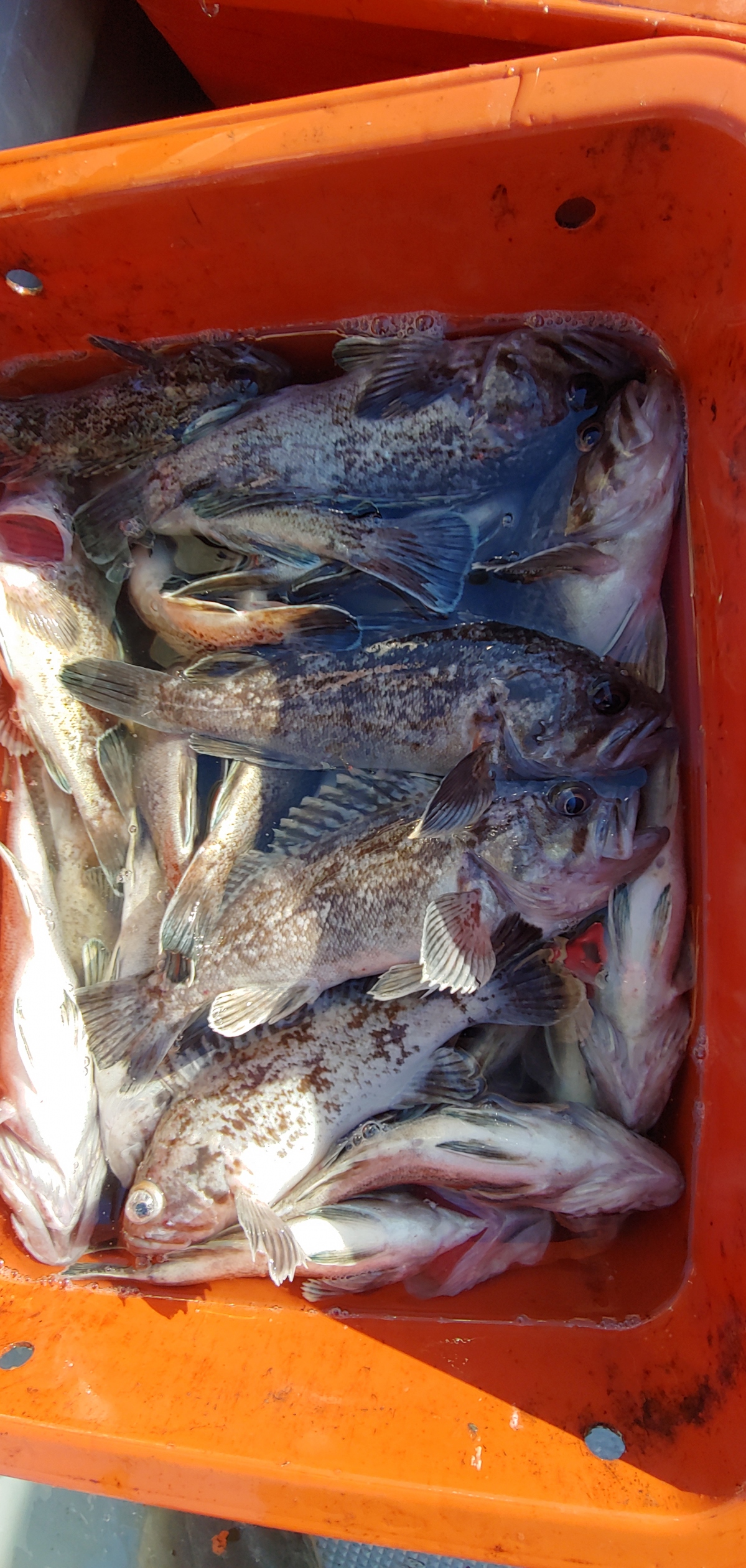
11월의 마지막 날 우럭낚시 다녀왔읍니다.
출항시간에는 쌀쌀했지만 화창한 날씨속에 좋은 조황 이었읍니다.
적은 인원 이었지만 기분좋은 조행길 이었네요.
시즌의 끝자락에 하나호와 함께 해주셔서 감사합니다.




| 번호 | 제목 |
|---|---|
| 130 |
2026년 새해 복 많이 받으세요.
|
| 129 |
9월27일 쭈,갑 조황입니다.
|
| 128 |
9월18일 쭈.갑 조황입니다.
|
| 127 |
9월15일 조황 입니다.
|
| 126 |
9월3일 조황 입니다.
|
| 125 |
2025년 첫 출조 조황 입니다.
|
| 124 |
새해 어복많이 받으세요
|
| 123 |
10월 5일 갑오징어 조황 입니다.
|
| 122 |
9월12일 주꾸미 조황 입니다.
|
| 121 |
9월3일 주꾸미 조황 입니다
|
| 120 |
10월7일 쭈,갑 조황 입니다.
|
| 119 |
9월24일 쭈,갑 조황 입니다.
|
| 118 |
9월16일 쭈,갑 조황 입니다.
|
| 117 |
9월8일 쭈,갑 조황입니다.
|
| 116 |
10월2일 쭈,갑 조황입니다.
|

등록된 댓글이 없습니다.